蔬菜分级办法分级办法分为手工操作和机械操作两种。叶菜类蔬菜以及草莓、蘑菇等形状不规则和易受伤害的种类多采用手工分级,番茄、洋葱、马铃薯等形状规则的种类除了可以用手工操作分级外,还可以使用机械 […]
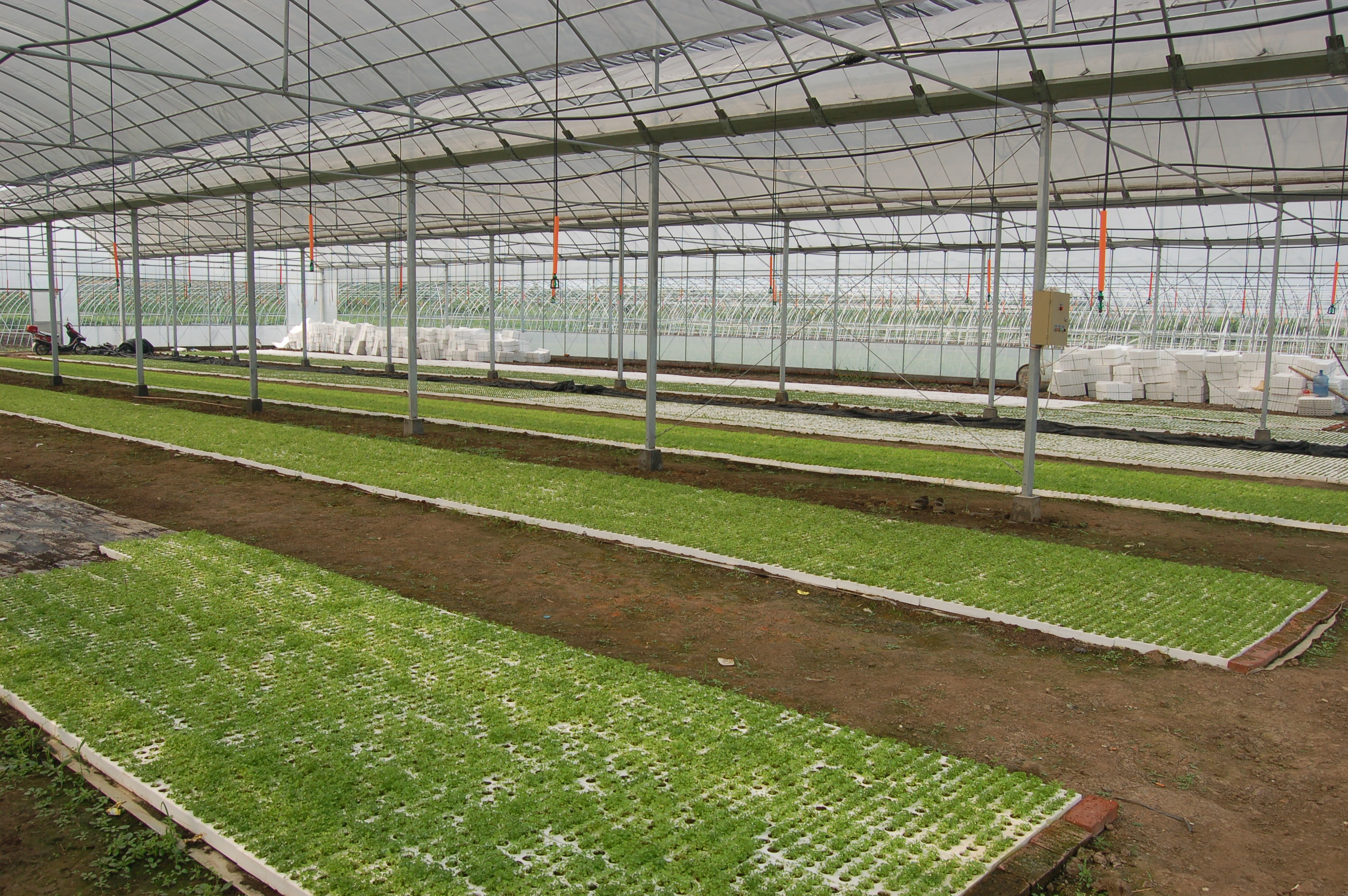
农业设施是种植无公害蔬菜的必要条件,尤其在现在的条件下,现代化的设施将会对蔬菜的产出起到至关重要的作用, 从设施条件的规模、结构的复杂程度和技术水平可将设施分为四个层次。 1.简易覆盖设施 […]
(一)修整蔬菜采收后应及时清理、除去在蔬菜产品中非食用的部分和损伤、腐烂的部分,使产品整齐美观,食用方便,便于包装和运输,减少都市垃圾等。修整工作应在产地进行,清理的废弃物要集中深埋,避免直 […]
蔬菜采收与采后处理是指从蔬菜采收到食用的整个过程,是连接生产和市场最终实现生产效益和生产目的的重要环节,包括采收、清洁、愈伤、分级、包装、预冷、防腐、贮藏、运输及销售环节中为保持蔬菜质量所涉 […]
宁夏回族自治区党委、政府认为,发展设施农业是对宁夏区情重新认识的战略抉择,大力发展设施农业是解决农业增效、农民增收的一条有效途径,也是挖掘农业内部潜力的出路和希望所在,设施农业是推动传统农业 […]
1.选用抗病虫丰产品种植物病害的防治,利用品种的抗性来控制病害是最经济有效的途径。蔬菜的种类和品种很多,其抗病能力有较大的差别。在蔬菜生产过程中要针对当地病虫害的发生规律、主要蔬菜病害的类型 […]
1.植物检疫的概念 植物检疫是由国家颁布法令,对植物及其产品特别是种子和苗木等繁殖材料以及用于包装的植物材料的管理和控制,防止某种危险性的病原物(包括害虫和杂草)从病区向无病区传播,这是保 […]
现代化设施农业在国内将会有非常好的发展前景,其缘由有以下几点: 一是随着人民生活水平的提高,对设施种植、设施养殖的农产品的需求量在不断增加,为设施农业的大发展提供了广阔市场; 二是国外的设施 […]
1.草情调查作好田间杂草感染状况调查,准确了解田间杂草的群落组成,优势杂草种,恶性杂草的种类、混染程度、发生时期、发生深度等。这是制定和实施综合防除措施,对农田杂草进行有效的管理和控制的基础 […]
我国设施农业产业正处于发展的大好时机 我国农业参与国际竞争中,设施农业发挥了巨大的作用。设施农业的发展关于农业结构调整、农民增收产生了重大的影响。近年来,我国有20多个省市区从荷兰、美国、以 […]









